Gloria Ceballos – Actual Directora de @ONAMET_RDO
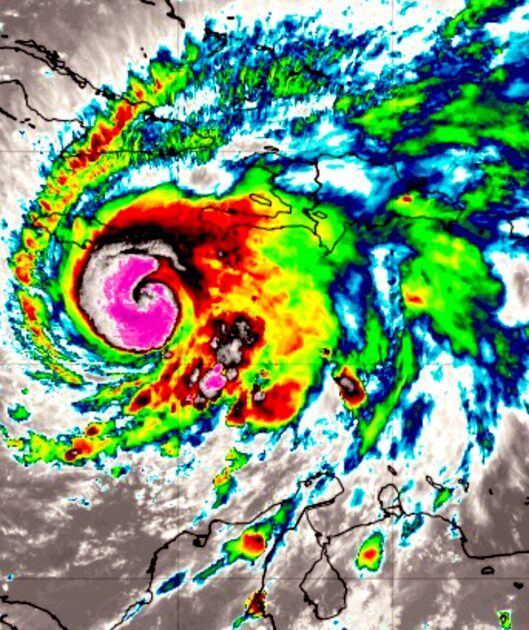
Melissa es ya un huracán categoría 2, con vientos máximos sostenidos de 155 kph, moviéndose hacia el oeste a 6 kph. El centro se ubica a unos 420 kms al oeste/suroeste de Puerto Príncipe, Haití. pic.twitter.com/1YTRhcThRD
— Gloria Ceballos (@GloriaCeballos7) October 26, 2025
@PresidenciaRD –
@ViceRDo – @MinpreRD – @JosePaliza – @CarolinaMejiaG – @LaVozDelPRM – @LuisAbinader – @RaquelPenaVice- @PRM_Oficial – @ElizabethMateo – @AlbertoCaminero – @FelixReynaE – @DeligneAB –@dpprdo – #SomosPRM – #YoCreoEnElPRM -#ElCambioSigue

